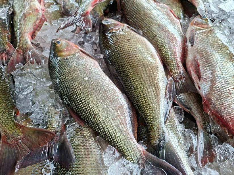
Em três dias do Feirão do Pescado – edição Semana Santa, realizado pelo Governo do Estado, por meio da Agência de Desenvolvimento Sustentável do Amazonas (ADS), comercializou cerca de 37 toneladas de pescado. Ao todo, a iniciativa, realizada na quarta, quinta e sexta-feira (1º, 02 e 03/04), recebeu mais de 25 mil pessoas em dois pontos da capital, movimentando, aproximadamente, R$ 1 milhão na economia local.
A diretora-presidente da ADS, Michelle Bessa, destacou que ação faz parte das iniciativas do Governo do Amazonas de apoio ao setor primário.
“Oferecer espaços bem estruturados onde os piscicultores e agricultores rurais possam vender seus produtos, com qualidade e com preço mais acessível diretamente para a população, faz parte do plano de fortalecimento do setor primário do Governo do Amazonas. É mais oportunidade e geração de renda a esses trabalhadores”, ressaltou Michelle Bessa.


Estrutura
A chefe do Departamento de Negócios Pesqueiros (Dnap) da ADS, Loiana Brito, explicou que este ano, a programação foi realizada na Arena Poliesportiva Amadeu Teixeira, na zona centro-sul, e no Centro Cultural dos Povos da Amazônia, zona sul, e contou com a comercialização de peixes da produção de piscicultores de Manaus, Presidente Figueiredo, Manacapuru, comunidade Novo Remanso, em Itacoatiara, Maués, Iranduba e Rio Preto da Eva.
Loiana Brito informou, ainda, que o Feirão do Pescado seguiu o mesmo padrão realizado em outras edições do evento, com estrutura completa onde o consumidor pôde encontrar além do pescado, legumes, frutas, café regional, almoço, além de total segurança nos dois locais.
“A ADS dá toda a estrutura para que os piscicultores consigam comercializar o pescado de qualidade com um preço mais acessível, gerando renda a esses trabalhadores e, também, para os produtores rurais. Nos dois pontos da ação foram garantindos, ainda, higiene e segurança para todos os visitantes”, concluiu.
Aprovação
A piscicultora Neuza Ramalho, avaliou positivamente a iniciativa do Governo do Amazonas de apoio à piscicultura regional. “Para mim foi uma honra ter essa oportunidade que foi me dada de participar e, sem dúvida, supriu as minhas expectativas. As minhas vendas foram ótimas e eu fiquei muito feliz com o resultado”, declarou a trabalhadora do município de Manacapuru.
Para a consumidora Nallanda Viana, a variedade de peixes foi o que chamou a atenção e fez com que visitasse a ação. “Eu vim ao Feirão atrás de boas opções de pescado e encontrei um peixe de excelência, qualidade e com preço bem acessível. Adorei!”, pontuou.
O fiscal de obra Paulo Afonso também aprovou a iniciativa durante a visita a um dos pontos do Feirão do Pescado. “Eu vim aqui, pechinchei e consegui um bom desconto nas minhas compras. Os peixes estavam muito bons e bonitos”, disse.
FOTOS: Jhonny Marques e Ruth Jucá/ADS e Divulgação Secom.



